Northeastern Asian Flora
Log In New Account Sitemap
  • Home
  • Search
    • Search Collections
    • Map Search
  • Images
    • Image Browser
    • Search Images
  • Inventories
  • Interactive Tools
    • Dynamic Checklist
    • Dynamic Key
Meliosma myriantha Siebold & Zucc.   (redirected from: Meliosma myriantha subsp. pilosa (Lecomte) Beusekom)
Family: Sabiaceae
[Meliosma myriantha f. leucocarpa Sugim., moreMeliosma myriantha subsp. pilosa (Lecomte) Beusekom, Meliosma myriantha subsp. stewardii (Merr.) Beus., Meliosma myriantha var. discolor Dunn, Meliosma myriantha var. pilosa (Lecomte) Y.W.Law, Meliosma myriantha var. stewardii (Merr.) Beusekom, Meliosma pilosa Lecomte, Meliosma stewardii Merr., Metanarthecium luteoviride f. yakusimense Masam., Metanarthecium yakumontanum Masam.]
Meliosma myriantha image
General Administrator
  • Korea Flora
  • Japan Flora
  • Resources
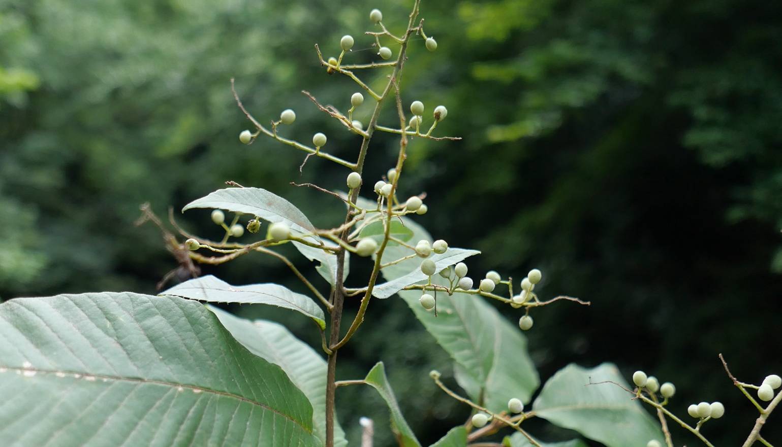
Korea Flora: Deciduous small tree. Terminal winter buds broadly ovate and naked, cluster in groups of 4-5, larger than lateral buds, 6-8mm in length. Lateral buds semicircular. Young branches densely hairy. Leaves alternate, thin, elliptical, elliptic-spathulate or spathulate-oblong, with an acuminate apex and a cuneate or rounded base. Leaf size (10)12-20(25)cm × 4-7cm, hairy on both sides, with yellowish or brownish hairs on the underside. leaf margins sharp, fine serrations. leaf veins very numerous, 20-28 pairs. Inflorescence panicle, 15-25cm × 15-25cm. Petals white, in groups of 5, with 3 circular and 2-3 linear. Similarly, 3 stamens scale-like and 2-3 fertile. 1 pistil. Fruits round, 7mm in diameter, and red.

Flowering early June to mid-July (early May in Jeollanamdo).

Fruiting late September to early November.

Distribution Shandong and parts of Jiangxi in China, Honshu to Kyushu in Japan; Jeollanamdo, Jeoolbukdo, Gyeongsangnamdo, Chungcheongnamdo, Gyeonggido, and Hwanghaenamdo in Korea.

Japan Flora: De­ciduous tree, the young branches with dull yellow short hairs, also the under side of the leaves especially the lateral nerves, the lenticels elliptic; leaves simple, chartaceous, narrowly cuneate-obovate to oblong, 10-25 cm. long, 4-8 cm. wide, short-acuminate, cuneate to obtuse at base, with short-awned teeth, glabrous on upper side, paler beneath, the lateral nerves 20-27 pairs, parallel, slightly arcuate at tip, the secondary nerves perpendicular to the lateral nerves, slender, the petioles 1.5 cm. long; inflorescence broadly pyramidal, 15-25 cm. long and as wide, densely branched, spreading; flowers very numerous, yellowish green, about 3 mm. across, short-pedi- celled; sepals nearly orbicular; petals 1.5 mm. long, orbicular; perfect stamen solitary; fruit obliquely globose, with a persistent style-base, about 4 mm. across, red. June. Thick­ets in low mountains;

Honshu, Shikoku, Kyushu. Korea

Meliosma myriantha
Open Interactive Map
Meliosma myriantha image
General Administrator
Click to Display
2 Total Images

Development supported by College of Agriculture and Life Sciences of Seoul
National University and Korea National Arboretum of Korea Forest Service.
Powered by Symbiota.